

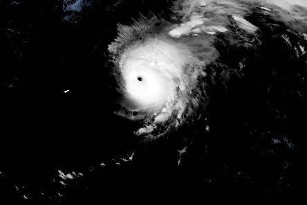
Hurricane Gabrielle was moving into the opean central Atlantic Ocean early Tuesday. Photo courtesy of NOAA
Gabrielle, a major Category 4 hurricane, was moving northeastward toward the open central Atlantic Ocean early Tuesday, after having passed Bermuda overnight, the National Hurricane Center said.
The eye of the storm was located about 305 miles east-northeast of Bermuda and about 1,855 miles west of the Azores, the NHC said in its 5 a.m. AST update.
It was moving northeast at 13 mph and had maximum sustained winds of 140 mph, up 20 mph from Monday morning, making it a Category 4 storm on the Saffir-Simpson Hurricane Wind Scale.
No coastal watches or warnings were in effect, but interests in Azores were urged to monitor Gabrielle’s progress.
Gabrielle had been traveling northwest and made a turn to the north toward Bermuda as it gathered strength last week. But the storm made a turn toward the east on Monday and passed east of the island Monday night.
Forecasters described Gabrielle as “an impressive hurricane” that is expected to gradually weaken over the next 24 hours.
“Gabrielle is forecast to approach the Azores late on Thursday,” the NHC said in a discussion on the storm. Interests in the Azores should monitor the progress of Gabrielle though it is too soon to specify the magnitude of potential wind, rainfall and wave impacts,” the NHC said in a discussion on the storm.
In its update, the NHC said Gabrielle is expected to see little change in strength through Tuesday, followed by gradual weakening into Wednesday.
The swells from the storm will continue to reach the U.S. eastern coast from North Carolina northward, as well as Atlantic Canada, the NHC said, adding that they are expected to continue through early this week.
“These swells are likely to cause life-threatening surf and rip current conditions,” it said.
Gabrielle is the seventh named storm of the 2025 Atlantic hurricane season.
Last month, Erin became a Category 5 hurricane with 160-mph winds spreading across a 500-mile area.